Background

CloudHà Tĩnh 25° - 38°C
CloudHà Tĩnh 25° - 38°C
THÔNG BÁO Giới thiệu chức danh và chữ ký của Trưởng ban, Phó trưởng ban Kinh tế - Ngân sách, Trưởng ban, Phó trưởng ban Văn hoá - Xã hội Hội đồng nhân dân xã Can Lộc, nhiệm kỳ 2021 - 2026Thông báo Tiếp công dân định kỳ tháng 10 năm 2025 của Chủ tịch UBND xãTHÔNG BÁO ĐẤU GIÁ QUYỀN SỬ DỤNG ĐẤT TẠI XÃ CAN LỘC Thông báo về việc lựa chọn tổ chức hành nghề đấu giá tài sảnThông báo Tiếp công dân định kỳ tháng 11 năm 2025 của Chủ tịch UBND xãKết quả lựa chọn tổ chức hành nghề đấu giá tài sảnThông báo niêm yết công khai thông tin huỷ và cấp lại Giấy chứng nhận quyền sử dụng đất do bị mấtThông báo niêm yết công khai thông tin huỷ và cấp lại Giấy chứng nhận quyền sử dụng đất do bị mấtThông báo đấu giá đất thôn Minh Vượngđề nghị gửi báo giá các loại giống lúa vụ Đông Xuân năm 2025-2026Mời thầu cung ứng giống gà, thức ăn, các vật tư liên quan thuộc dự án giảm nghèo bền vững năm 2025THÔNG BÁO Giới thiệu chức danh và chữ ký của Trưởng ban, Phó trưởng ban Kinh tế - Ngân sách, Trưởng ban, Phó trưởng ban Văn hoá - Xã hội Hội đồng nhân dân xã Can Lộc, nhiệm kỳ 2021 - 2026Thông báo Tiếp công dân định kỳ tháng 10 năm 2025 của Chủ tịch UBND xãTHÔNG BÁO ĐẤU GIÁ QUYỀN SỬ DỤNG ĐẤT TẠI XÃ CAN LỘC Thông báo về việc lựa chọn tổ chức hành nghề đấu giá tài sảnThông báo Tiếp công dân định kỳ tháng 11 năm 2025 của Chủ tịch UBND xãKết quả lựa chọn tổ chức hành nghề đấu giá tài sảnThông báo niêm yết công khai thông tin huỷ và cấp lại Giấy chứng nhận quyền sử dụng đất do bị mấtThông báo niêm yết công khai thông tin huỷ và cấp lại Giấy chứng nhận quyền sử dụng đất do bị mấtThông báo đấu giá đất thôn Minh Vượngđề nghị gửi báo giá các loại giống lúa vụ Đông Xuân năm 2025-2026Mời thầu cung ứng giống gà, thức ăn, các vật tư liên quan thuộc dự án giảm nghèo bền vững năm 2025THÔNG BÁO Giới thiệu chức danh và chữ ký của Trưởng ban, Phó trưởng ban Kinh tế - Ngân sách, Trưởng ban, Phó trưởng ban Văn hoá - Xã hội Hội đồng nhân dân xã Can Lộc, nhiệm kỳ 2021 - 2026Thông báo Tiếp công dân định kỳ tháng 10 năm 2025 của Chủ tịch UBND xãTHÔNG BÁO ĐẤU GIÁ QUYỀN SỬ DỤNG ĐẤT TẠI XÃ CAN LỘC Thông báo về việc lựa chọn tổ chức hành nghề đấu giá tài sảnThông báo Tiếp công dân định kỳ tháng 11 năm 2025 của Chủ tịch UBND xãKết quả lựa chọn tổ chức hành nghề đấu giá tài sảnThông báo niêm yết công khai thông tin huỷ và cấp lại Giấy chứng nhận quyền sử dụng đất do bị mấtThông báo niêm yết công khai thông tin huỷ và cấp lại Giấy chứng nhận quyền sử dụng đất do bị mấtThông báo đấu giá đất thôn Minh Vượngđề nghị gửi báo giá các loại giống lúa vụ Đông Xuân năm 2025-2026Mời thầu cung ứng giống gà, thức ăn, các vật tư liên quan thuộc dự án giảm nghèo bền vững năm 2025

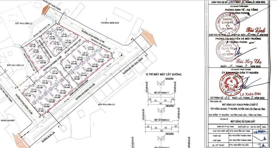
Thông báo xã Can Lộc chuẩn bị tổ chức đấu giá 34 lô đất tại thôn Hồng Quang, xã Can Lộc.

Ẩn danh19/03/2026
Ẩn danh19/03/2026

Dự kiến sẽ tổ chức đấu giá trong tháng 4/2026. Đoạn phía trước Trường MN Hoa Hồng điểm 2.

1.jpg

binh-luan

chua-co-binh-luan-nao